
“股関節の手術”
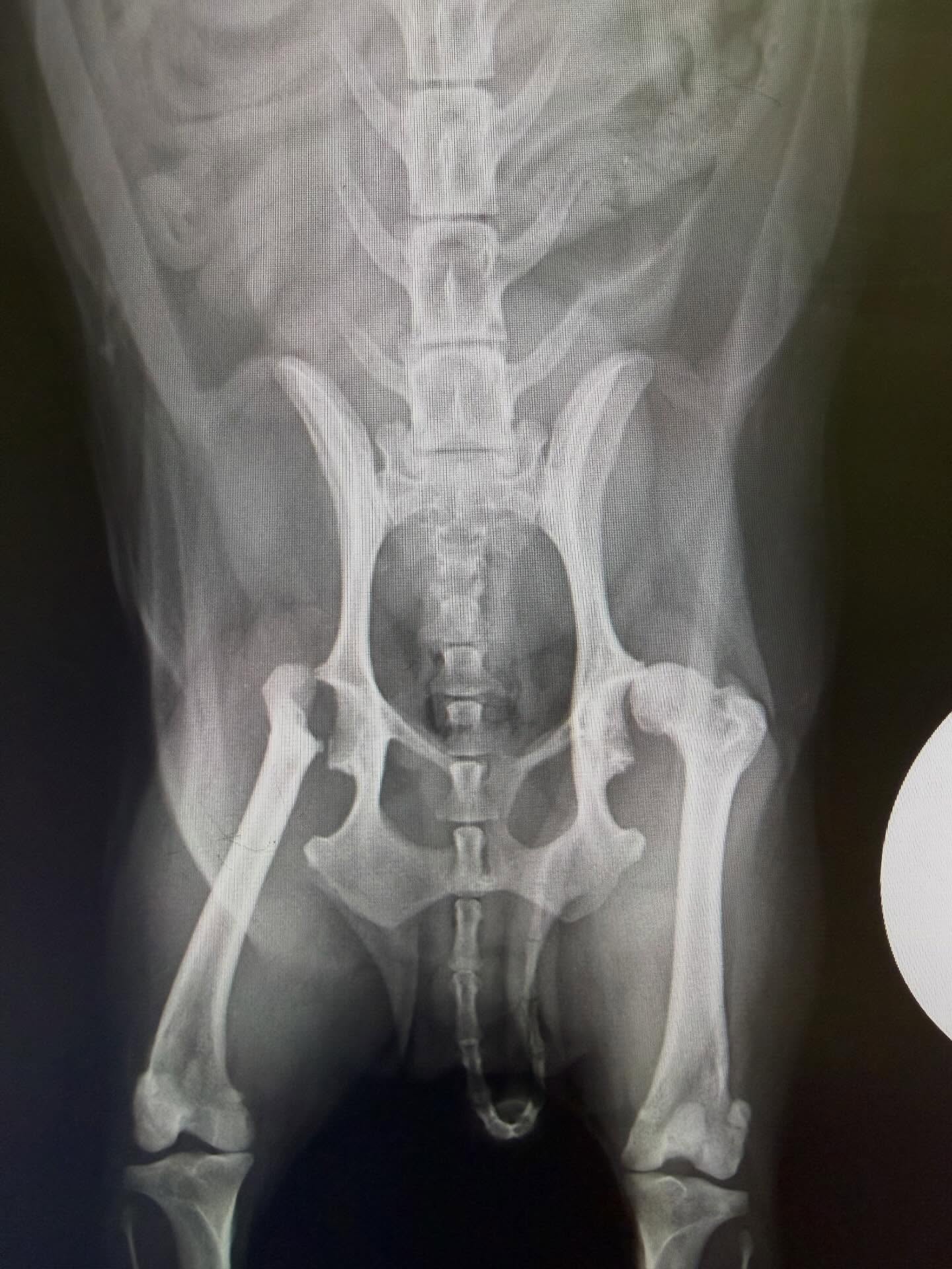
過去に片方の股関節を手術したワンちゃん。反対側の股関節も関節炎が進行し、変形してきて、しかも亜脱臼の兆候も出てきていたため、反対側の手術を行いました。
人間でも股関節の病気は多く、中高齢になると発症することが多い病気。人間では人工股関節の手術も進化し、動物でも人工股関節の手術は高度獣医療施設で可能ですが、費用も高額。ですので、大腿骨頭骨頚部切除術という太ももの骨の頭を切る手術が一般的です(画像参照)。特に、消炎鎮痛剤による内科的な維持をすることもありますが、薬を飲んでも痛みが出てきたり、長期使用による腎臓負担のリスクや、体重が重い子ほど将来的に進行する可能性が高く、予防的に手術する場合があります。
人間でも歩くのが苦痛な病気ですので、いくら動物は我慢強いといって少し歩き方おかしいかなという見た目でも、きっと痛いでしょうから、手術で痛みを取ってあげられる可能性が高いのです。
特にお尻を左右に振って歩く子は、見た目が可愛いと気にしない飼い主さんもいますが、実は股関節に何らかのトラブル抱えていることが多いので、気にしてみてあげてください。
#笠松動物病院 #動物病院 #山梨 #ペット #動物の整形外科

2.Safariの設定を変える
設定手順
1/2 Safariの「サイト越えトラッキングを防ぐ」設定をオフにする
2/2 Safari以外のブラウザ(Google Chromeなど)でアクセスする
* iPhoneの場合:ホーム画面→「設定」→「Safari」→「プライバシーとセキュリティ」→「サイト越えトラッキングを防ぐ」をオフ(グレー)にする
*Macの場合:「Safari(メニュー)」→「設定」→「プライバシー」→「サイト越えトラッキングを防ぐ」のチェックを外す。
原因:iOSのバージョンを15.2以降にアップデートすると、セキュリティ強化の一環として「サイト越えトラッキングを防ぐ」設定が自動的に有効になるため、Googleカレンダーが表示されない場合があります。
お手数をおかけしますが、ご対応の程、お願い致します。
ご来院の前に必ずご連絡ください。ご対応出来ない場合もございます。
『健康診断』、『歯科』、『手術』の場合のみ「診療予約」を行っております。
↓ 受付は、初めての方でも当日ご来院の際に受付で、もしくはWEBにて「受付」の予約が可能です。↓
〒409-3866 山梨県中巨摩郡昭和町西条5167
TEL:055-275-5566
診療時間:午前10:00 – 12:00 午後15:00 – 19:30
土曜:午後は18:00までとなります。
休診日:日曜・祝日
©Kasamatsu Vetclinic(笠松動物病院)All Rights Reserved.
Created by kaibutsu.org